WIND + FULL MOON = BETTER FISHING? REALLY?
La Paz – Las Arenas/ Muertos Bay/ Suenos Bay Fishing Report for Week of April 22-29, 2018
Mexican Minute Weekly Video Report
Week at a Glance
Weather – Picture-perfect most of the week. Highs in the hi-80’s to lo-90’s. Got windier later in the week
Water – Blue and warming
Bait – Tough to get for our Las Arenas/ Muertos Bay guys better on the La Paz side for sardines
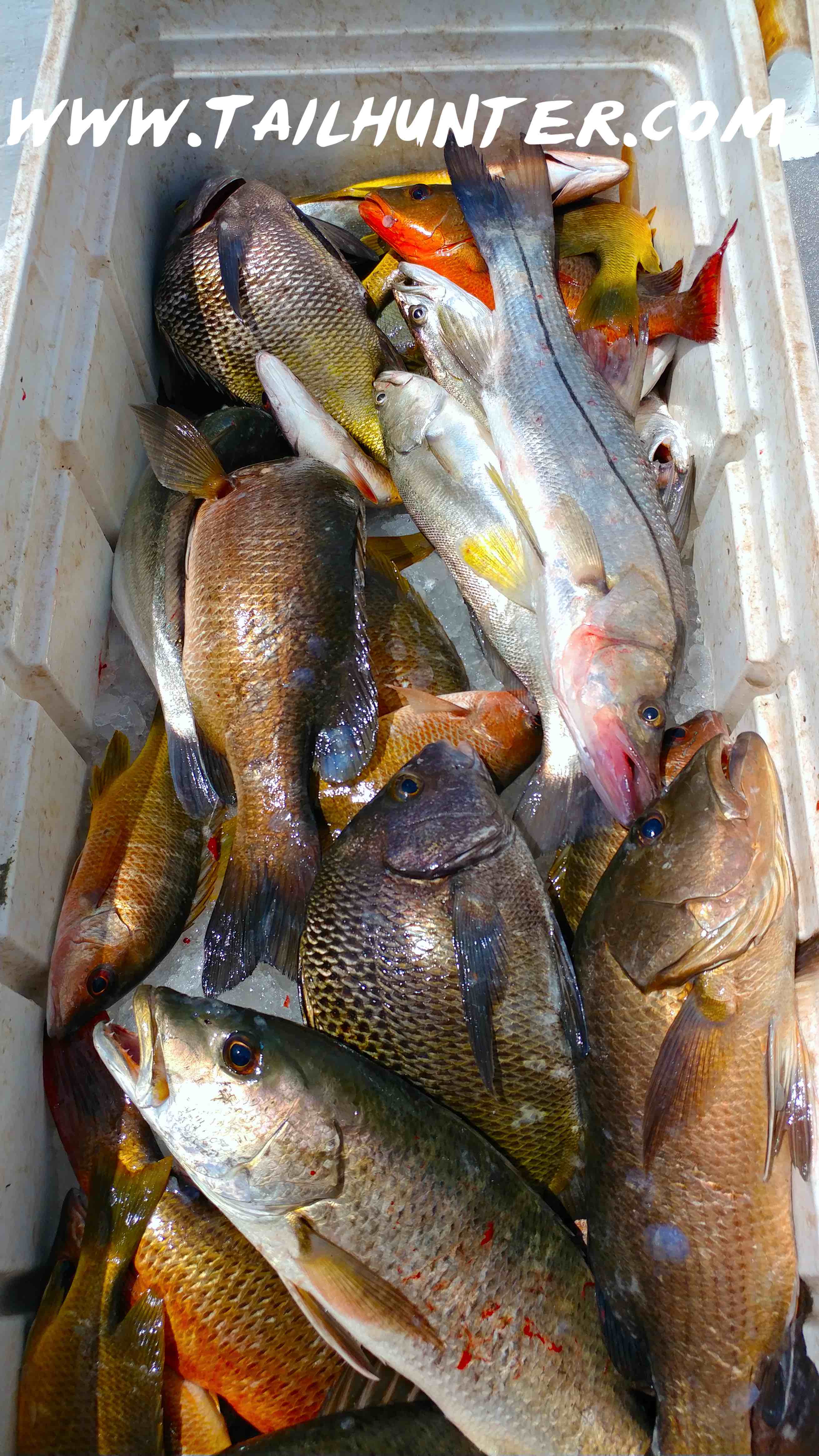
Fishing – Lots of variety. Warm and cold water species still around. I thnk I counted about 14 different species caught this week not including junk fish! Fishing was picky and scratchy however but got better as the week went on (and the winds got stronger and we moved towards the full moon!) . Crazy!
Catching – Lost alot of nice fish in the rocks. Lost wahoo. Lost tuna. Lost yellowtail. That’s why these are bigger fish!
THE BIG PICTURE

Chris Cribbs has been fishing with Captain Jorge of the Tailhunter Fleet for years and came down with buddy Matt McSweeney from San Gabriel CA. They rocked the hat trick with a big tuna, cabrilla and a fat barred pargo. The tuna, surprisingly was caught while they were inshore trying to catch rooster fish in shallow water!

Good start to their week of fishing for Jason and Rebecca Coxsey from the San Diego area with a boatload of action with great snapper plus some white and black bonito chargers.

It’s a wonder! Our good friends for so many years, Angela and Tim Farrell from Oceanside CA got some great food quality fish with some nice cabrilla and pargo. They have caught some big with with us over the years!

From Utah, Jackie Cole, her first time fishing and visiting La Paz with some late season sierra plus white bonito and cabrilla.

Angela with another fatty cabrilla to add to her list of big fish she’s caught here with Tailhunter and her favorite Captain Moncho!

Finally got a dorado in the boat for Captain Armando with Rebecca and Jason from San Diego to add to the collection of white bonito, snapper and cabrilla!

Captain Jorge with our Tailhunter Las Arenas Fleet poses with one of the better dorado of the week caught by Chris Cribbs.
The rest of the story…
Crazy sport, this fishing thing. I’ve been whining for weeks about how the winds have detrimentally affected the fishing down here. It’s been a long agonizing first 5 months of the year!
LA PAZ SUNSET THIS WEEK
Told ya the weather has been incredible. The kind of weather the La Paz Board of Tourism brags about and they make postcards with. Thought I’d share a little video of one of the sunsets from our Tailhunter Restaurant. Turn up the sound!
FOODIES PUT THIS ON YOUR CALENDAR for THIS WEEK!
If you’re coming to La Paz this week, on Friday, May 4th the 8th Annual Gastronomica (“TASTE OF LA PAZ”) Food Festival will be taking place. It’s an incredible event we have every year with more than 150 restaurants and food vendors participating.
It’s all you can eat and drink from the best restaurants in La Paz plus some from Cabo, Todos Santos, the East Cape and Cabo! Plus lots of great live music. It goes from 7 p;m to midnight and it’s right on the beach and one of the largest city events of the year.
You’ll find food from the different regions of Mexico and Baja; Italian; American; Japanese; Chinese; bakeries; pastries; the culinary schoools, the hotel restaurants; the caterers; as well as tequila, wine and beer vendors and distributors as well.
Cost is about $40 per ticket for all-you-can-eat. We’ll be there with Tailhunter Restaurant samples!
THANK YOU!

Norm and Jackie Cole from Utah brought dow a case of kids toothbrushes, toothpaste, floss and other great dental hygiene things that went out to the orphanage at Los Planes!
Our season is on and already, we’re floored by the generosity of our Tailhunter tribe members who have already delivered more than 200 pounds of clothes, shoes, hygiene items and school items that we distribute to various charities! Cheers and gracias to all of you!
That’s our story!
Jonathan & Jilly
Mexico Office: Tailhunter International, 755 Paseo Obregon, La Paz, Baja Sur, Mexico
from USA : 626-638-3383
from Mexico: 044-612-14-17863
.Tailhunter Weekly Fishing Report: https://fishreport.jonathanroldan.com/Tailhunter YouTube Video Channel:












































