NOW THAT’S MORE LIKE IT!
La Paz – Las Arenas/ Muertos Bay/ Suenos Bay Fishing Report for Week of April 21-28, 2019
MEXICAN MINUTE VIDEO FISHING REPORT
The Big Picture and the Rest of the Story…

From Washington, Steve Hastings was out with Captain Victor from the Tailhunter Fleet and did the hat trick with 3 wahoo not far off the rocks that went 25-35 pounds. He also got some tasty white bonito as well.

Jeff Sakuda from Cypress CA makes one to two trips to La Paz to fish with Tailhunter for almost 20 years and loves fishing with Captain Jorge. One day produced two wahoo near Cerralvo Island. The largest one taken on a purple Rapala Xrap and the other hit a live sardine.

Big roosterfish right off the rocks by Mark Bonsack from Washington. The fish was taken on live bait and released. These are the first large ones we’ve seen this year…right about on time!

Now, this is a fun day of fishing! Our good friends and anglers for many many years, Jeff Sakuda and Marianne Sugawara with a full rack of spring fish including white bonito, snapper and pargo.

Aloha boys from Maui shaka the camera. They only had one day to fish but got into some action. That’s Dean Badoyen and Ed with pargo, cabrilla, a huge trigger fish and snapper.

Yellowtail are still hitting on-and-off near Cerralvo Island. Mark Bonsack from Washington was fishing with the Tailhunter Fleet and caught this stocky forktail.
After a couple of so-so weeks where the weather and winds dictated our fishing, we finally got in a solid week of good weather and consequently better fishing. There were still some lingering pesky winds, but overall a great time to be out on the water with good action and some good quality to the fish as well.
It also helps that we’ve got more fishermen now that the season is on too!
For sure, there were still some ups and downs and some low-points where the bite dropped off or only bonito bit. However…inshore fishing over reefs, rocks and structure continued produce the most action as is typical of this time of the year.
Our guys who worked closer to shore and in the shallows saw good action and good quality on big snapper, big cabrilla, large triggerfish, amberjack, yellowtail and both barred pargo and pargo mulato. Lots of larger fish lost in the rocks too…maybe half of all the fish hooked, but no shortage of biters!

Captain Armando with long-time amigo, Dave Lindell from Pendleton, Oregon with a nice amberjack in hand and quite a variety on the board including snapper, bonito and cabrilla
The same areas produced jack crevalle, several kinds of bonito (including the good eating white-bonito) and still kicked out yellowtail as well up to about 25-pounds.

…and a jack crevalle! Lots of fun when you get into a school of these that can number into the hundreds. There’s a reason why the Mexican name for them is “TORO” which means “bull.” They are scrappy bulldogs when hooked.
We also hit our first big roosterfish of the season too. We’ve gotten some smaller punk fish, but we got into some of the larger 30-50 pounders this week finally. All released.
Not too far away and still in relatively shallow water, the biggest and best surprise were the wahoo. It’s about that time of the year and the speedsters were hitting live bait as well as trolled Rapalas and were nice sized 20-40 pound fish with some of our pangas getting multiple fish.
BAHIA MAGDALENA REPORT
We had Eric Skinner and his son, Nathan out for a few days working those incredible mangroves at the shallow end of Bahia Magdalena on the Baja Pacific side this past week for a few days. In fact, as you’re reading this, they’re still out there. They got more than a dozen different species the first 2 days including, corvina, snapper, pargo, cabrilla, grouper and bay bass on light tackle.

Bahia Magdalena offers hundreds of square miles of changing current, sloughs, channels and impenetrable mangroves holding a multitude of species in the shallow waters.

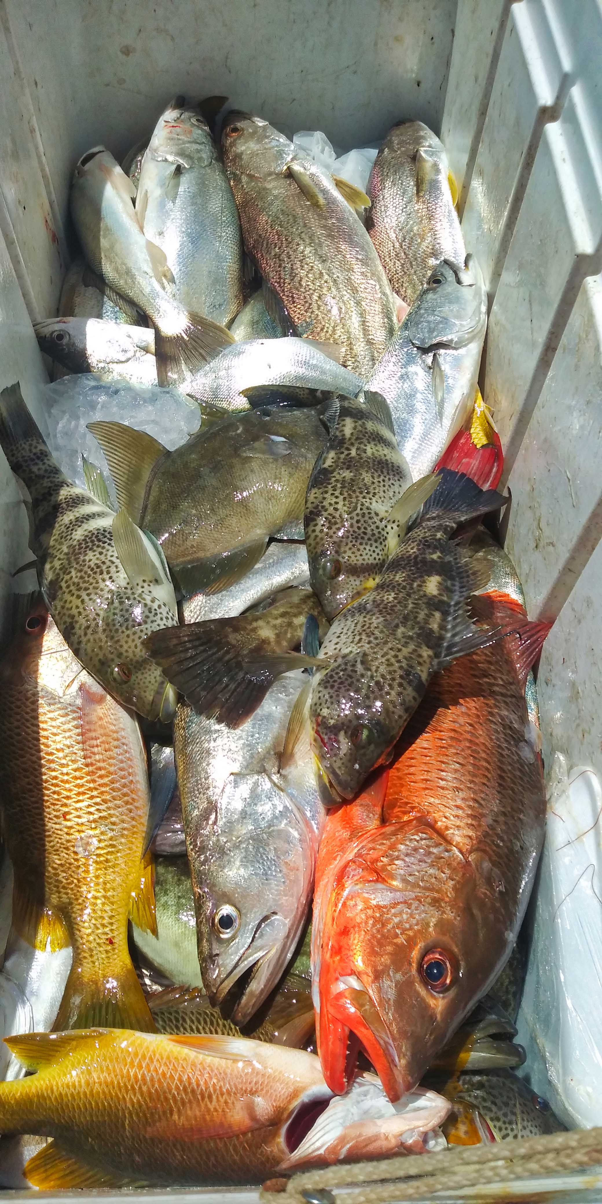
One a single day, they estimated they hooked more than 50 fish releasing most and donating others and, of course, keeping some for dinner. Here’s a layer of fish sitting on a bed of ice in the ice chest with about a 1/2 dozen different species.

Nathan and dad, Eric, fishing right up in the mangrove bushes were catching garopa (grouper) like these and releasing most.
As mentioned, at the time of doing this report, they still had a few more days fishing Mag Bay so we’ll have more updates in next week’s report.
Have a great week!
That’s my story!
Jonathan & Jilly
Jonathan Roldan’s
Tailhunter International
Website:
www.tailhunter-international.com
Mexico Office: Tailhunter International, 755 Paseo Obregon, La Paz, Baja Sur, Mexico
U.S. Mailing Address: Tailhunter International, 8030 La Mesa Blvd. #178, La Mesa CA 91942
Phones:
from USA : 626-638-3383
from Mexico: 044-612-14-17863
.
Tailhunter Weekly Fishing Report: https://fishreport.jonathanroldan.com/
Tailhunter YouTube Video Channel:
https://www.youtube.com/channel/UCBLvdHL_p4-OAu3HfiVzW0g
“When your life finally flashes before your eyes, you will have only moments to regret all the things in life you never had the courage to try.”












































